IL · Chicago south suburbs

Gridley

Current market data, fresh listings, and the local perspective you need to decide.

Market snapshot

The numbers right now.

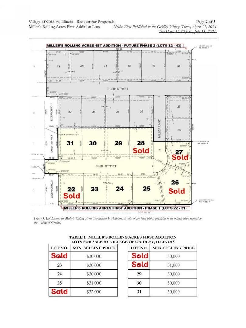
8
active listings
$30k
median list price
avg price / sqft
7 days
avg days on market
Considering a move?

We know Gridley. Let's talk.

Whether you're buying, selling, or just curious about the area, dwello Home Group can help you understand what's really happening in Gridley.