Active
208 9th Street
Gridley, IL 61744
$30,000
0beds
0baths
—sqft
0.32acres
Ask Dwello about this home
Anything from "is it priced right?" to "what's the catch?"
About this home
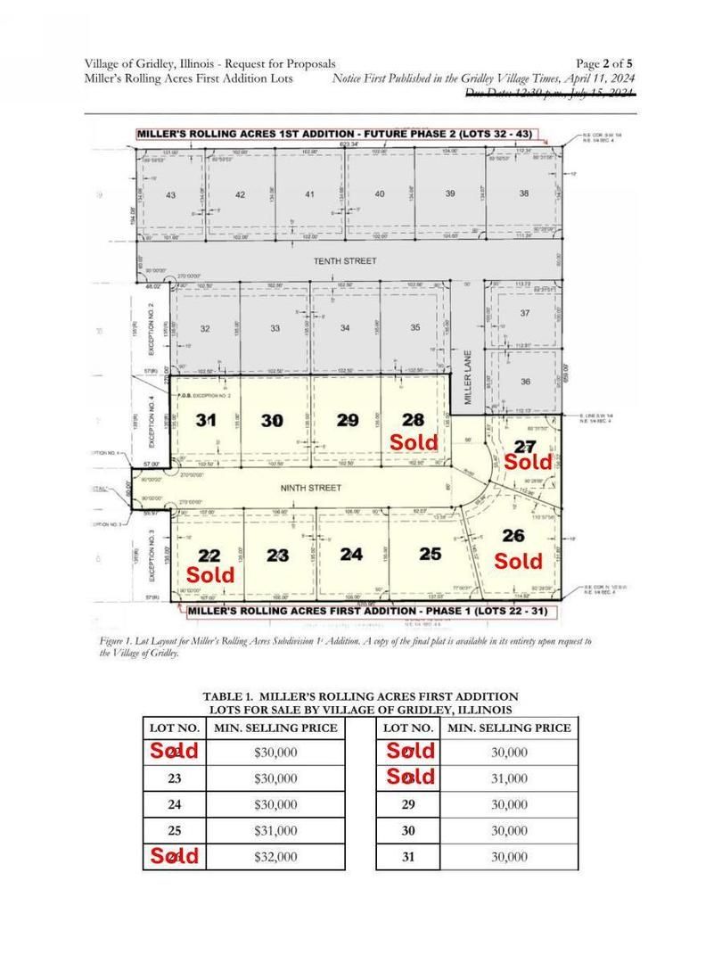
Lot 29: 1/3 Acre Lot available in new subdivision in NE Gridley - Miller's Rolling Acres First Addition. This is a great opportunity to build your custom dream home, using your favorite builder! Subdivision is located in the El Paso-Gridley School District with access to Village parks and public pool. Another amazing perk for the Village is golf carts are allowed within the city limits. All utilities are available to the building site. Call/Text George & Willow Gramm for more information and a tour of the Village of Gridley!
MLS Description — as provided by the listing brokerage.
The facts
Property typeLand
Lot size0.32 acres
SubdivisionNot Applicable
Annual tax$0
CountyMcLean
MLS #MRD12512910
Days on market7
Schools
ElementaryJefferson Park Elementary
Middle / JuniorEl Paso-Gridley Jr High School
High schoolEl Paso-Gridley High School
Features
Utilities
Electric to SiteNatural Gas AvailableSewer ConnectedWater Available
Listed by
RE/MAX Choice
Willow Gramm · 309-824-5703
Listing courtesy of mred MLS as distributed by MLS GRID.
Based on information submitted to the MLS GRID as of 11/12/2025, 6:07:29 AM. All data should be independently verified.
You + your agent
What do you think?
React below so your dwello agent knows how you feel. Leave a note to start a conversation about this home.
Loading…
More homes you might like